Scott's Orchard Spring 2012
Index
Previous
7 of 79
Next
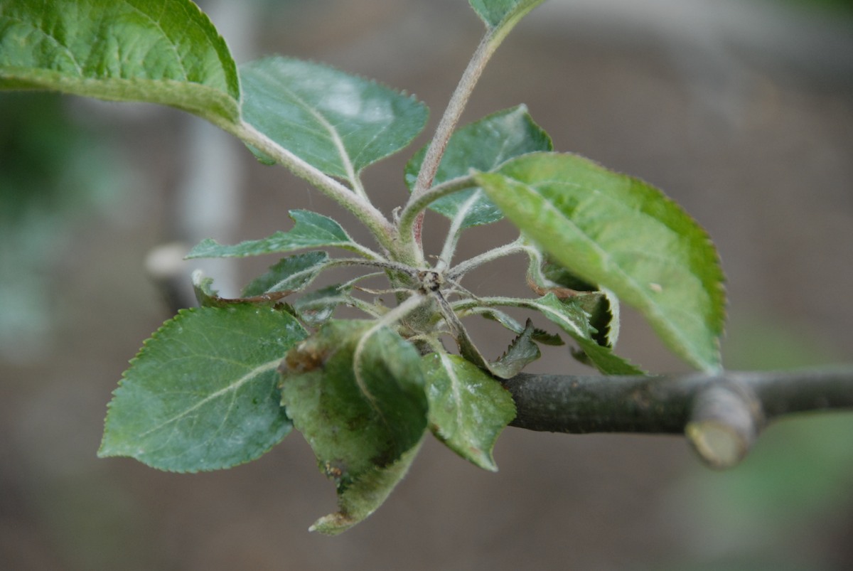
Caption: Fireblight on Orleans Reinette