Scott's Orchard Spring 2012
Index
Previous
8 of 79
Next
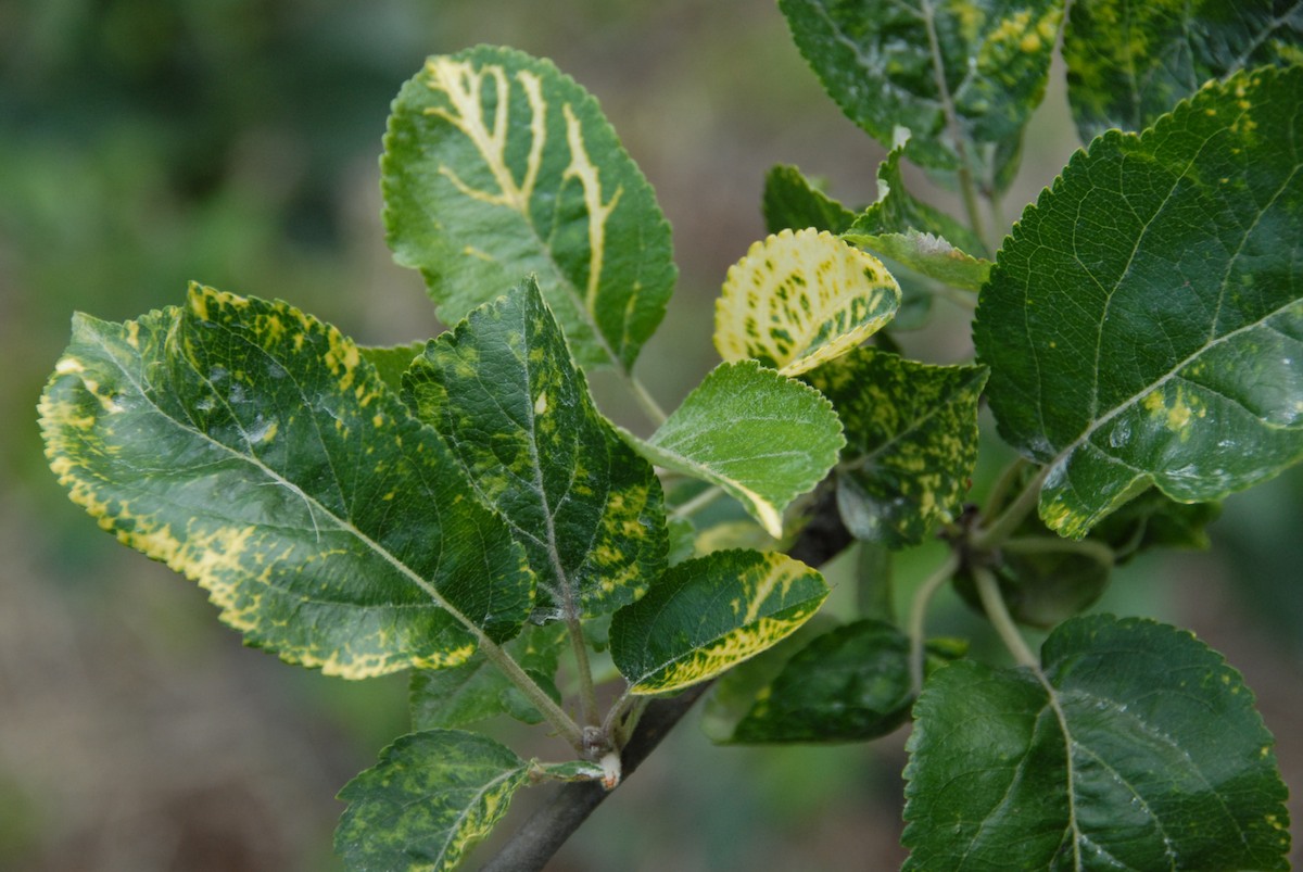
Caption: Likely Apple Mosaic Virus on Sam Young from Botner